Property Description
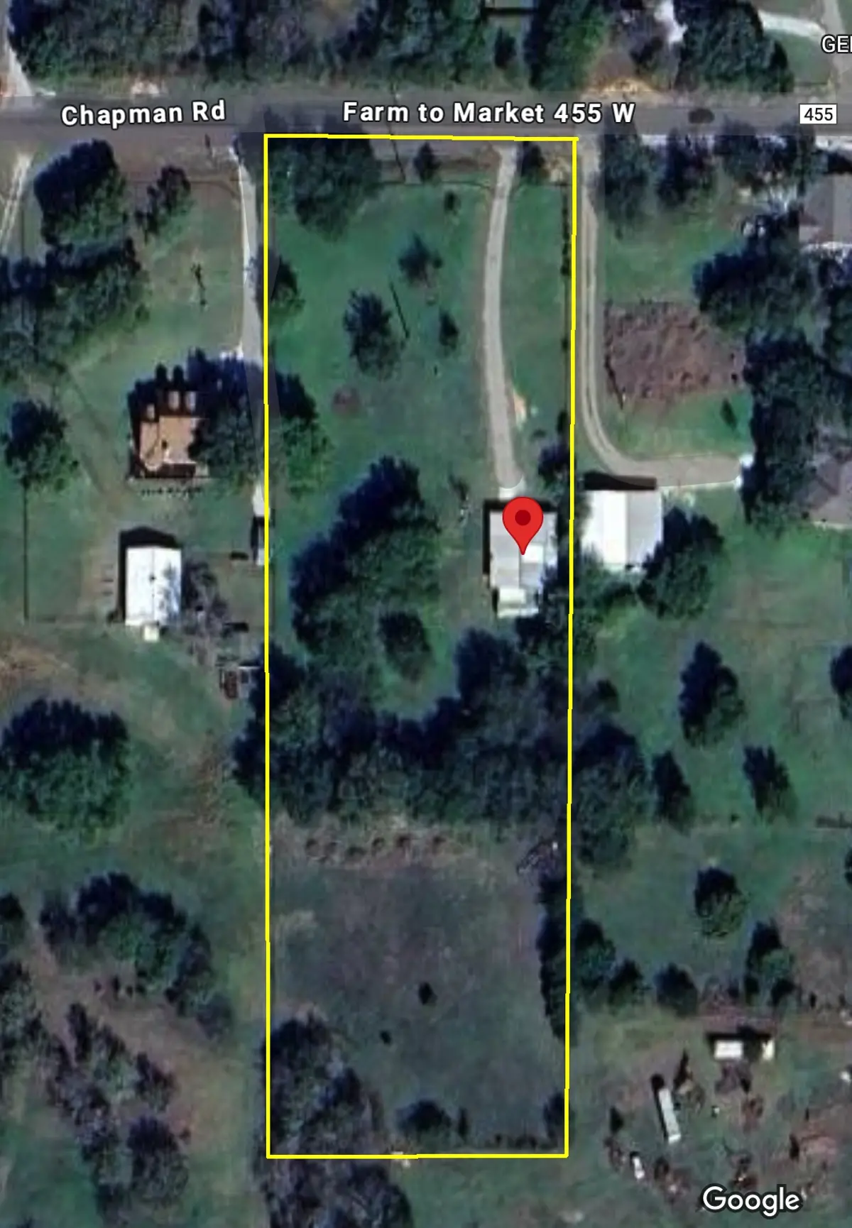
Discover the potential of 7281 FM 455, a versatile property offering just under 200 feet of valuable road frontage along FM 455. Located outside the city limits and free from zoning restrictions, this property provides unmatched flexibility for your development or investment goals.
Situated in an area experiencing significant residential and commercial growth, this tract is ideally positioned for future appreciation. Whether you’re looking to hold for long-term value, establish a business, or develop for mixed use, this property checks all the boxes.
Enjoy easy access to I-35 and close proximity to Denton and the DFW Metroplex, making it a strategic location for any investor or developer.
Highlights:
- Prime Location in Sanger, TX – Positioned along FM 455 with high visibility and easy access to I-35, just minutes from Denton and the DFW Metroplex
- No Zoning Restrictions—Located outside city limits, allowing flexible use for commercial, residential, or mixed-use development
- Strong Growth Area—Surrounded by rapid residential and commercial expansion, ideal for long-term investment or immediate development
- Nearly 200 Feet of Road Frontage—Offers excellent exposure for future businesses, signage, or entrance access
- Investor & Developer Opportunity—Great potential for new construction, retail, office, or land hold strategy
- Strategic Location—Close proximity to Denton, major highways, and regional employers for high demand potential
- Versatile Land Tract—Perfect for those looking to build, invest, or hold in a booming North Texas corridor
Don’t miss this chance to secure a piece of Sanger’s future!
PROPERTY HIGHLIGHTS:
| 200 Feet Frontage | No Restrictions | Land for Sale | ||
| Growing Community | Commercial Property | |||
| Highway Access | Investment & Income |












